

Shamy bouje s bolestí. Pomozme jí prožít stáří důstojně
Vybráno 0 Kčz 50 000 Kč

Zakladatel
Kristýna Alföldiová
do ukončení
60 dnů
Datum přidání
18. 3. 2026
Představení sbírky
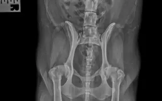
Komu pomůžeme?
Na co konkrétně budou peníze z této sbírky použity?
Fotogalerie
9



Pomozte Sejmy změnit tento příběh


Předáme 100 % částky
I ten nejmenší dar dá velkou naději

Snadná, rychlá a důvěryhodná pomoc
Všechny sbírky ověřujeme. Kontrolujeme lékařské zprávy i další doklady.
Předáváme 100 % vybrané částky. Nebereme si žádné provize ani poplatky.
Po skončení sbírky ověřujeme, že pomoc opravdu dorazila - kontrolujeme i účtenky a faktury.
Tato Dobročinná sbírka je spravována Nadačním fondem Donio