Zakladatel
Jana Tomková
do ukončení
1 měsíc
Datum přidání
22. 1. 2026
Poslední aktualita
4. 2. 2026 17:32
Velky dik..
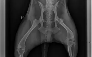
Představení sbírky
Komu pomůžeme?
Na co konkrétně budou peníze z této sbírky použity?
Pomozte Dirkovi změnit tento příběh


Předáme 100 % částky
I ten nejmenší dar dá velkou naději

Snadná, rychlá a důvěryhodná pomoc
Všechny sbírky ověřujeme. Kontrolujeme lékařské zprávy i další doklady.
Předáváme 100 % vybrané částky. Nebereme si žádné provize ani poplatky.
Po skončení sbírky ověřujeme, že pomoc opravdu dorazila - kontrolujeme i účtenky a faktury.
Vzkazy
M
Magdaléna O.
300 Kč•7. 2. 2026 21:41
Přeji mnoho zdraví!!! 🩵🐕💫
L
Luboš S.
243 Kč•7. 2. 2026 18:09
Korunka ke korunce a zachráníme život 😇
D
Datlik B.
300 Kč•7. 2. 2026 15:57
At se Ti skace pres kaluze ;)
E
Eva K.
500 Kč•5. 2. 2026 9:02
Držíme palce🍀
L
Luboš S.
777 Kč•4. 2. 2026 17:15
Držím pěsti ať jste v pořádku ♥️
D
Duch
200 Kč•3. 2. 2026 13:42
Přeji brzké uzdravení:)
J
Jana K.
1 000 Kč•29. 1. 2026 20:33
Ať se Dirkovi dobře běhá! Je to krásný pejsek.
S
Silvie Č.
200 Kč•29. 1. 2026 15:01
Dirku, přeji ti už jen krásný život !
I
Ilona K.
200 Kč•29. 1. 2026 11:24
Direčku milovaný, jsi nádherný pejsek, přeji už jen to nej 🙏❤️.
E
Eva M.
1 000 Kč•28. 1. 2026 23:43
Děkuji za Vaši péči a držím Dirkovi palce.
Tato Dobročinná sbírka je spravována Nadačním fondem Donio

